First flowerbuds on 14 yo Native Plum, Black Apple, Pouteria australis – 2

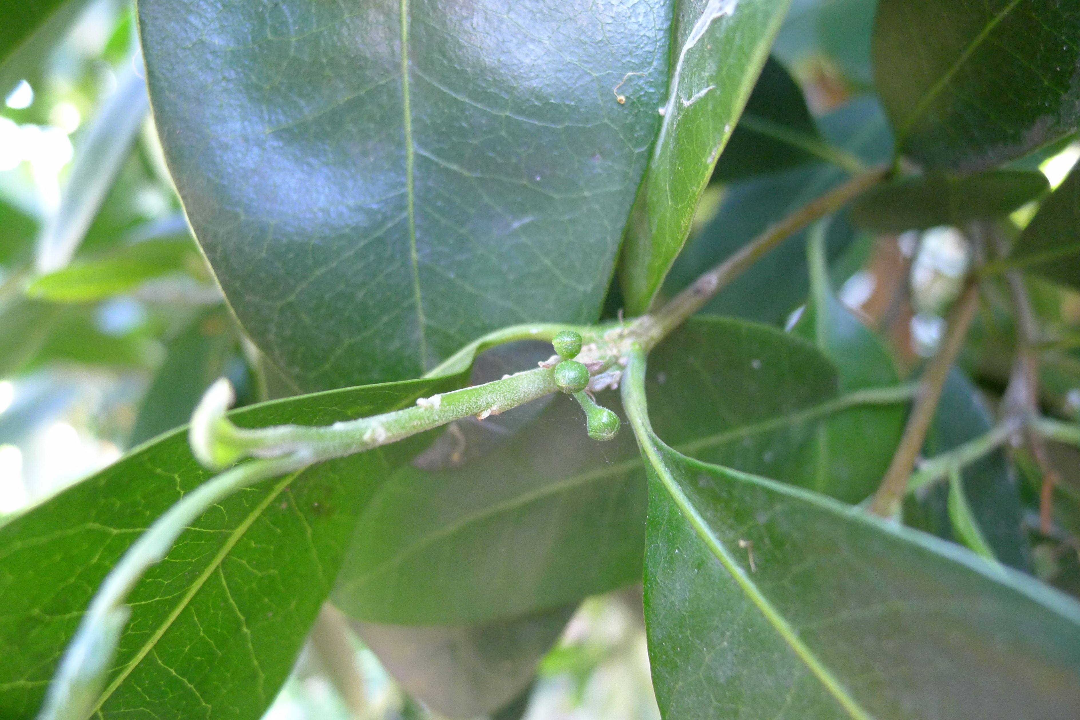
First flower buds: Native Plum, Black Apple, Pouteria australis

Leave a comment

This site uses Akismet to reduce spam. Learn how your comment data is processed.